Código
62863681
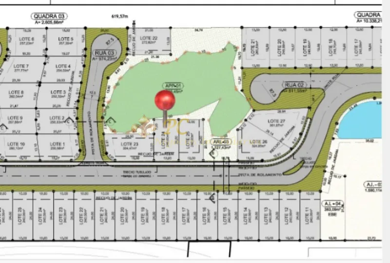
Lote Xangri-lá Boulevard
-
Valor
R$ 300.000
Belo terreno frente Sul, com área verde aos fundos e lateral.
Características Imóvel
Próximo ao Centro, Próximo a posto de saúde, Posição Sul, Terreno Plano,
